RTA awards Dh100m contract

The Board of Directors of the Roads & Transport Authority (RTA), chaired by Mattar Al Tayer, Chairman of the Board and Executive Director of the RTA, has recently endorsed the awarding of a contract to construct internal roads at Al Barsha South 1, and collector roads at Al Barsha South 2 costing about Dh100 million.
The project is part of Phase II of the 5-Year Plan (2012-2016) endorsed by His Highness Sheikh Mohammed bin Rashid Al Maktoum, Vice-President and Prime Minister of the UAE and Ruler of Dubai, for constructing internal roads at several Dubai residential districts with a cost to the tune of one billion dirhams.
“Constructing internal roads at Al Barsha stems from the commitment of the RTA to improve the infrastructure of roads, lighting, and storm water drainage at residential areas to meet the requirements of urban and demographic expansion in the emirate and cater to the happiness and welfare of people.
“Over the past 3 years, the RTA constructed more than 500 km-long internal roads in various residential communities across the Emirate,” said Al Tayer.
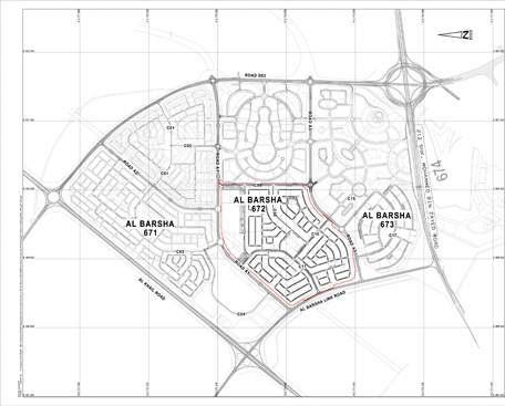
“The new project comprises the construction of an internal roads network at Al Barsha South 1 (community 671) extending 53 km, and the construction of collector roads at Al Barsha South 2 (community 672) extending 7 km.
“The project provides an additional entry to Al Barsha South 1 from Umm Suqeim Road, and an additional entry to Al Barsha South 2 from Hesa Road,” he added.
“The project, which will be constructed over 18 months, comprises internal roads construction works with width of 7 metres in collector roads, and 6.6 metres in local roads, besides constructing longitudinal parking slots on both roadsides measuring 2.5 metres in width, lighting works, rainwater drainage works, and other utility works,” he continued.
The Chairman of the Board and Executive Director of the RTA explained that the 5-Year Plan (2012- 2016) for constructing internal roads in residential communities in Dubai spans about 16 districts where urbanisation rate ranges from 20 per cent to 80 per cent but in some areas is as low as 5 per cent.
The initial Phase of the Plan, costing about Dh150 million, covered constructing roads in 5 districts namely: Hatta community, Al Qusais 3, Al Qouz 2, 3 and 4. Phase II, which started in 2013, covers constructing roads in three residential districts namely: Al Muhaisna 2 and Al Barsha South 1 and 2. Phase III, which starts in 2014, covers constructing roads at Al Mamzar, Al Nahda 1, and Oud Mateena 2. Phase IV, which will be kicked off in 2015, covers the construction of roads in 3 districts namely Nad El Sheba 4, Oud Mateena 1 and Al Khawaneej 2.
In Phase V, which will start in 2016, road construction works will be undertaken in 3 districts namely: Jebel Ali Industrial 1, Al Qusais Industrial 3, 4 and 5 in addition to Al Awir 1.